Projet de construction

199 000€
94500 - Champigny sur Marne
Ref : 666
94500 - Champigny sur Marne
Ref : 666
Informations générales
  • ref : 666
  • Honoraires à la charge du vendeur
  • Surface habitable : 155 m2
  • Surface carrez : 155 m2
  • Surface terrain : 155 m2
  • Type de cuisine : aucune
Descriptif
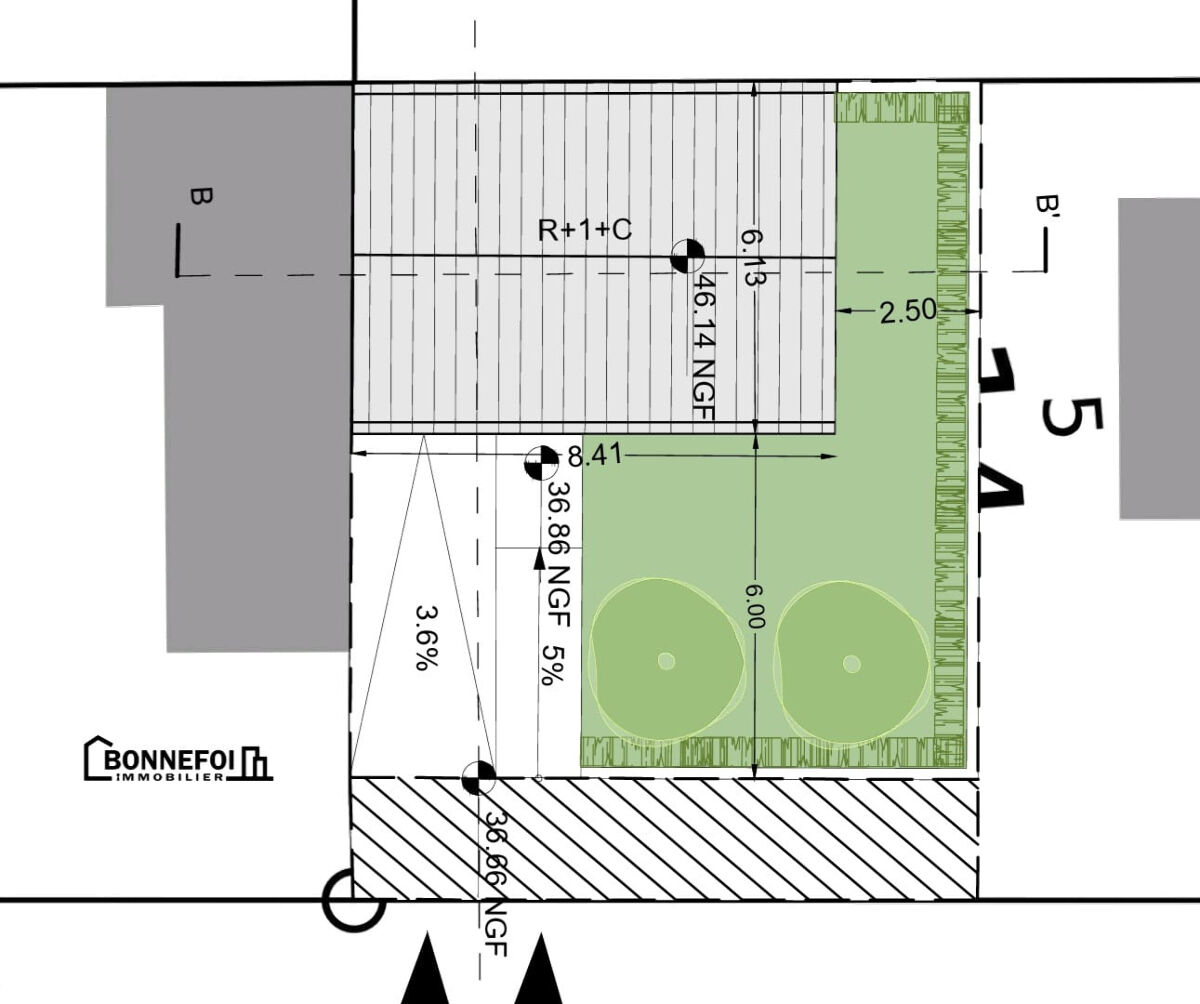
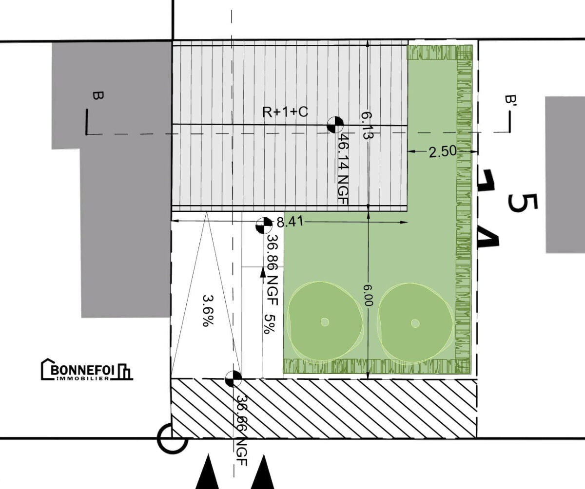
En EXCLUSIVITÉ - Notre Agence BONNEFOI IMMOBILIER vous propose un projet de construction dans le secteur du Maroc. Permis de construire en cours d'instruction pour une Maison type Mansard d'environ 92.80m2 habitables avec 3 chambres et un espace de vie d'environ 35.90m2, se rajoute la surface d'un garage.Parcelle d'environ 155m2. Bateau existant. A viabiliser. Dossier consultable à l'agence. REF 666 - N'hésitez pas à nous contacter au 01.55.12.31.12 et demandez Jessica BONNEFOI. 1
Demande d'informations
Contactez BONNEFOI IMMOBILIER au 01 55 12 31 12

Pour recevoir plus d'informations sur cette annonce veuillez remplir le formulaire ci-dessous.


Je suis humain

Art L.223-2 Tout consommateur peut se prévaloir de s inscrire sur la liste d opposition au démarchage téléphonique ( bloctel )